Los huracanes son las tormentas más grandes del mundo. En realidad sería más preciso hablar de ciclones tropicales, como explicaremos más adelante. Estos fenómenos se generan en mares cálidos y, cuando llegan hasta tierra firme, causan enormes destrozos. Recientemente hemos tenido algunos ejemplos como el Irma que, por desgracia, ha dejado un gran rastro de destrucción a su paso.
El huracán Irma
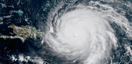
Últimamente ha sido noticia el huracán Irma, el más fuerte que se ha registrado en el Atlántico en más de una década. Ha provocado gravísimos daños en varias islas del Caribe como San Martín, Barbuda, las Islas Vírgenes, Puerto Rico, República Dominicana, Haití y Cuba, así como en los Estados Unidos.
En la escala que categoriza los huracanes por la fuerza de sus vientos desde el 1 (los menos intensos) hasta el 5 (los más intensos), Irma alcanzó el grado más alto, por eso ha sido tan destructivo. Aún se está realizando el balance de los daños, pero ya se sabe que este huracán ha tenido un impacto catastrófico.
Así se informó de que Irma pasaba a la categoría 5:
¿Qué son los huracanes?
En realidad, la denominación genérica de estas tormentas es “ciclón tropical”, pero en función del lugar donde sucedan reciben nombres diferentes: llamamos huracanes a los que se generan en el océano Atlántico o en el Pacífico oriental, tifones a los del sudeste asiático y ciclones a los del océano Índico.
Son diferentes nombres para un mismo fenómeno: tormentas de enormes proporciones que nacen en las latitudes tropicales y se desplazan girando al contrario de las agujas del reloj en el hemisferio norte y al revés en el hemisferio sur.
Mapa mundial de los ciclones tropicales registrados entre los años 1985 y 2005.
Pueden durar desde unas horas hasta varios días. Se van disipando cuando dejan de encontrar agua caliente con la que alimentar su motor de calor y humedad.
¿Cómo se forma un ciclón tropical?
Los ciclones tropicales se producen sobre los mares cálidos (el agua tiene que estar a 26º como mínimo). En unas determinadas condiciones, el aire que está en contacto con el océano se calienta y asciende cargado de humedad.
Cuando esta masa de aire sube, deja debajo de sí una zona de baja presión, es decir, queda menos aire. Eso atrae al aire de los alrededores, que también se calienta y asciende.
Así se va alimentando un mecanismo que se retroalimenta cargándose cada vez de más humedad, de nubes de tormenta y de vientos más potentes. A su vez, la rotación de la Tierra contribuye a que se cree un remolino e influye en la trayectoria del ciclón.
Las consecuencias
Cuando llegan a tierra firme, los ciclones tropicales se van debilitando porque ya no pueden alimentarse del calor y la humedad que sí encontraban sobre el mar.
Sin embargo, aún conservan una fuerza enorme y azotan la tierra con vientos muy destructivos y fortísimas lluvias que pueden causar inundaciones, corrimientos de tierras, etc. Evidentemente, cuanto más poblada esté la zona afectada más peligro hay para las vidas humanas.
Además, en la costa provocan fenómenos muy peligrosos, como aumentos en el nivel del mar, grandes olas y corrientes que en ocasiones generan importantes destrozos materiales y ecológicos.
Algunos vídeos como este nos permiten hacernos una idea de la fuerza que tuvo Irma:
Infórmate de todo en Junior Report | Castellano | Català | English
