El “extremadamente peligroso” huracán Milton aumenta de tamaño mientras enfila hacia Florida

Vídeo del día

El “extremadamente peligroso” huracán Milton aumenta de tamaño mientras enfila hacia Florida
Video

El “extremadamente peligroso” huracán Milton aumenta de tamaño mientras enfila hacia Florida

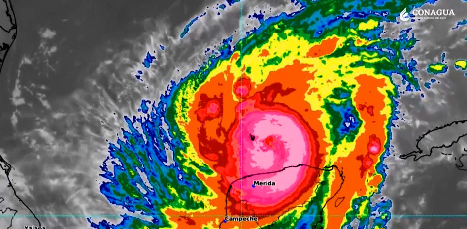
El “extremadamente peligroso” huracán de categoría 4 Milton ha aumentado este martes de tamaño mientras se aproxima a la costa oeste de Florida, donde se pronostica que impactará el miércoles por la noche en la zona de la Bahía de Tampa, ha informado el Centro Nacional de Huracanes (NHC, en inglés) de EE.UU.

El NHC advierte además que “hoy es el último día para que los residentes de Florida se preparen” en sus hogares o evacuen las zonas señaladas, si así lo indican las autoridades locales.

Milton, un huracán que se fortaleció en tiempo récord en el Golfo de México hasta alcanzar la categoría 5, la mayor en la escala Saffir-Simpson, se ha rebajado hoy a la categoría 4.

El sistema se encuentra localizado a 205 kilómetros al noreste de Progreso (México) y a 835 kilómetros al suroeste de Tampa, en la costa oeste central de Florida.

Milton presenta vientos máximos sostenidos de 240 kilómetros por hora y se desplaza con una velocidad de traslación de 15 kilómetros por hora y se espera que gire hoy hacia el noreste.

Según la trayectoria pronosticada por el NHC, el centro de Milton se moverá a través del este del Golfo de México y se acercará el miércoles a la costa central-oeste de Florida.

Los meteorólogos han señalado que “es probable que el centro toque tierra a lo largo de la costa-central oeste de la península floridana el miércoles por la noche” y se desplace hacia el este-noreste a través del centro del estado hasta el jueves.

Si bien se esperan fluctuaciones en la intensidad, se prevé que Milton “seguirá siendo un huracán extremadamente peligroso hasta que toque tierra en Florida”, han avisado.

Preocupa mucho la marejada ciclónica que puede causar Milton en la bahía de Tampa entre 3 a 4,5 metros de altura. Los vientos con fuerza de tormenta tropical podrían llegar a la zona de la bahía de Tampa tan pronto como el miércoles por la mañana.

Toda la zona está bajo advertencia de huracán y de marejada ciclónica.

Los condados de Hillsborough, donde se encuentra la bahía de Tampa, Pinellas y Pasco, Hernando, Manatee y Sarasota en la costa oeste de Florida, han emitido ya orden de evacuación obligatoria para diversas zonas, así como para todas las casas móviles, ante la llegada del huracán Milton.

Etiquetas
Mostrar comentarios
Cargando siguiente contenido...